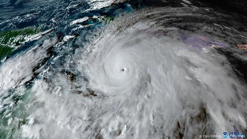
O Furacão Melissa está prestes a testar a resistência da Jamaica. De acordo com a Federação Internacional da Cruz Vermelha (FICV), cerca de 1,5 milhão de pessoas — mais da metade da população do país — podem ser diretamente afetadas pelo fenômeno nesta terça-feira (28).
Para tentar proteger os moradores, mais de 800 abrigos foram preparados nas áreas mais vulneráveis. Mas a previsão é preocupante: após atravessar a Jamaica, o furacão deve seguir para Cuba ainda na noite desta terça e no início da manhã de quarta (29).
Siga o Jovem na Mídia nas redes sociais do Instagram e Facebook para não perder nada!
Previsão de destruição
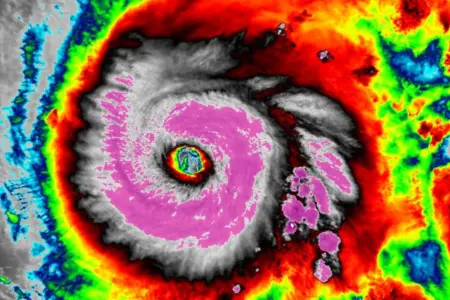
A Organização Meteorológica Mundial (OMM) alertou que Melissa pode causar danos catastróficos, com ventos de até 300 km/h, inundações repentinas e deslizamentos de terra. Anne-Claire Fontan, especialista em ciclones tropicais, classificou a tempestade como “a pior do século para a Jamaica”.
O nível de alerta é alto: marés de tempestade podem chegar a quatro metros, e a chuva prevista deve ultrapassar 70 centímetros, praticamente o dobro da média da estação. Ou seja, áreas inteiras podem ser tomadas por inundações rápidas e deslizamentos devastadores.

Impactos já sentidos no Caribe
A passagem de Melissa já deixou sete mortos na região: três no Haiti, três na Jamaica e um na República Dominicana. O Centro Nacional de Furacões (NHC) dos EUA mantém a tempestade na categoria 5, com ventos de 280 km/h, e alerta que estruturas podem sofrer falhas totais se atingidas diretamente.
A tempestade se intensificou muito rápido, tornando-se a mais forte do planeta em 2025, e a pressão central da tempestade indica que o pior ainda pode estar por vir.
💬 A Jamaica enfrenta horas críticas e o mundo acompanha de perto. Quer saber como o Furacão Melissa está impactando cada região da ilha? Clica na matéria completa no Jovem na Mídia!




